Посадіть цю рослину біля яблунь — і мурахи та попелиці зникнуть з вашого саду
Городникам на замітку

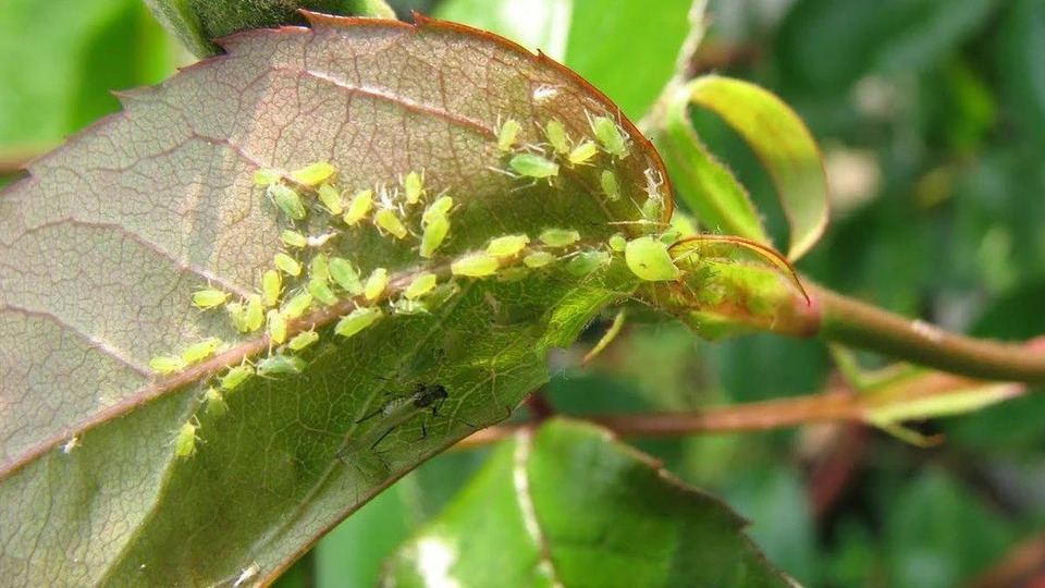
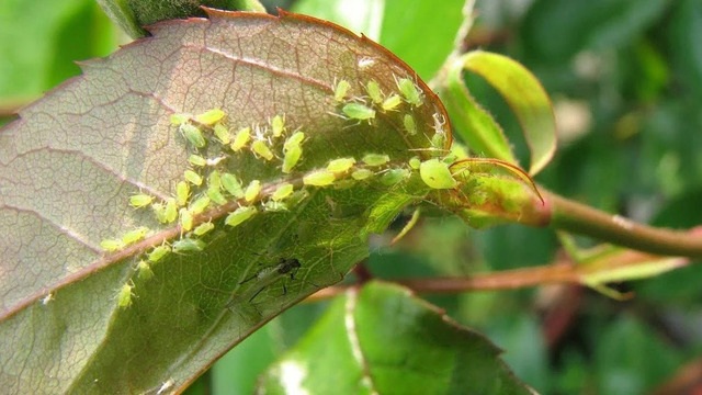
Мурахи й попелиці — це справжня халепа для яблунь, персиків, груш та інших плодових дерев, що призводить до втрати врожаю і зниження якості плодів. Зазвичай садівники рятують сад від нашестя цих комах чорнобривцями, які висаджують по периметру.
Однак у боротьбі з мурахами ці квіти доволі безсилі, тому господарі винайшли інший спосіб захисту плодових дерев. Розповідаємо, яку рослину треба посадити в саду, щоб мурахи й попелиці обходили його десятими дорогами.
Яка рослина найкраще захищає сад від мурах та попелиць?
Це болотна м’ята, про яку садівники зазвичай забувають. Однак ця рослина стане справжнім захисником для яблунь. М’ята болотна має різкий запах, який відлякуватиме комарів, блох, мурашок і попелиць.
Її запах — немов щит, від якого мурахи, які переносять ферменти попелиці, втікають назавжди, а колючі квітки рослини створюють додатковий бар’єр на шляху до ласощів. Це натуральне рішення, яке не забруднює ґрунт і не шкодить корисним комахам.
Як використовувати м’яту болотну для захисту плодових дерев?
- Розсада. На початку квітня цю рослину висівають на розсаду. Після того, як м’ята набереться сили й стане міцною, у травні вона буде готова до пересаджування у відкритий ґрунт.
- Висаджування. Щойно минуть травневі заморозки, рослину треба висадити у пристовбурні кола яблунь. М’ята болотна невибаглива і росте як на сонці, так і в тіні. Відстань між кущиками має становити близько 50 сантиметрів.
- Догляд. Рослина любить зволожений ґрунт, тому її треба регулярно поливати. Іншого догляду болотна м’ята не потребує.
- Користь. М’ята відлякуватиме мурах і створюватиме несприятливе середовище для розмноження попелиці, тим самим забезпечуючи комплексний захист.
Чому варто вибрати болотну м’яту для захисту свого саду
- Екологічність. Рослина безпечна для людей, тварин і рослин.
- Довготривалий ефект. М’ята захищатиме плодові дерева від комах-шкідників упродовж усього сезону.
- Легкість вирощування. З вирощуванням болотної м’яти упорається навіть недосвідчений початківець.
- Додатковий декор. Болотна м’ята стане додатковим елементом декору для вашого саду.
Отже, болотна м’ята — це простий, однак вкрай ефективний та екологічний спосіб для захисту плодових дерев від мурах та попелиці, який не потребує використання хімічних засобів.
Джерело: ТСН
Радіо Трек: НОВИНИ